www.euromundoglobal.com

MARÍA ES EL QUINTO HURACÁN DE 2017

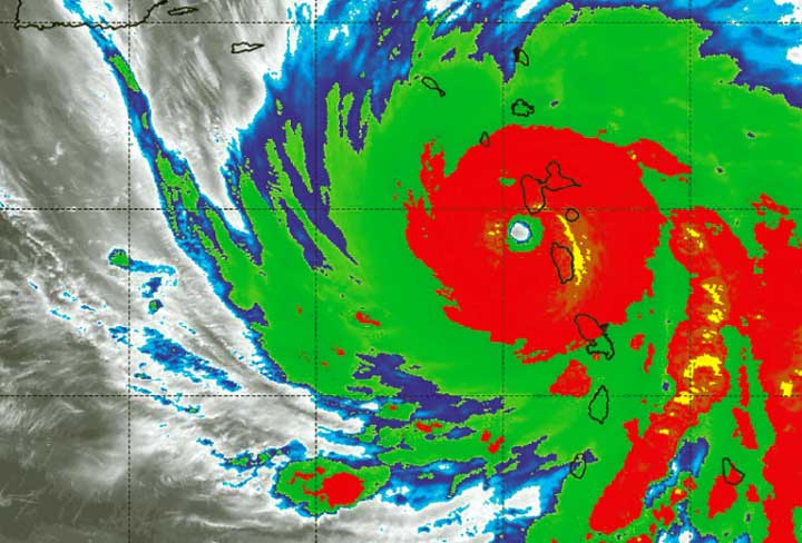
El huracán María, categoría 5, sobre las islas de Dominica y Montserrat. NASA
Ampliar
El huracán María, categoría 5, sobre las islas de Dominica y Montserrat. NASA

Esta es una de las peores temporadas de huracanes

En menos de un mes, las islas del Caribe se enfrentaron a cuatro de estos fenómenos, dos de los cuales han alcanzado la categoría 5 en la escala Saffir-Simpson, es decir, extremadamente peligrosos

miércoles 20 de septiembre de 2017, 12:55h
Actualizado el: 23 de septiembre de 2017, 11:34h

20SEP17 – BOGOTA - COLOMBIA.- Hace 25 días, Harvey azotó las costas de Estados Unidos. Las inundaciones y los estragos que causó a su paso dejaron 30.000 personas evacuadas, más de 17.000 rescatadas y 83 muertas. Días después, del 6 al 10 de septiembre, llegó Irma, el huracán categoría 5 que pasó por Cuba, dejando diluvios y 10 muertos; por Florida, dejando a 15 millones de personas sin luz y a 6 millones fuera de sus casas, y por Puerto Rico, con 300 millones de dólares en daños a la infraestructura pública, entre otros. Una de las islas más afectadas, Barbados, fue evacuada totalmente por primera vez en su historia.

Aún no se ha terminado de calcular los daños de Irma en los países del Caribe y rápidamente avanza María, el huracán que el domingo era tormenta tropical y esta semana ascendió a categoría 5.

A las 2 de la tarde del lunes, María tocó tierra con vientos máximos sostenidos de 260 kilómetros por hora y destrozó la isla de Dominica, dejando por lo menos un muerto. El primer ministro de la pequeña isla antillana, Roosevelt Skerrit, lanzó un desesperado mensaje: “Mi techo se ha ido. Estoy a la completa misericordia del huracán. La casa se está inundando”, escribió en su cuenta de Twitter.

María es el quinto huracán y el segundo mayor de la temporada de 2017. El Centro Nacional de Huracanes (CNH) disparó las alertas para Guadalupe, Dominica, San Kitts y Nevis, Montserrat, Antigua y Barbuda, Saba, St. Eustatius, Puerto Rico, Vieques, Culebra, Águila y Barbados.

Aunque las islas del Caribe han sufrido innumerables huracanes y tormentas a lo largo de la historia, nunca antes se había visto tanta frecuencia e intensidad. “No es raro que se generen tormentas en un mes, pero sí que se formen dos huracanes de categorías 4 y 5”, se lee en el New York Times. Esta luce como una de las peores temporadas de huracanes de la historia, ¿pero por qué?

El último año tan devastador en materia de huracanes fue 2005, con 25 tormentas tropicales. De acuerdo con el New York Times, lo particular de 2017 con respecto a ese año es el aumento de la temperatura en la tierra y en los océanos.

De acuerdo con Juan Carlos Ortiz, investigador colombiano de Física y Geociencias de la Universidad del Norte y doctor en Oceanografía Física, en entrevista con Caracol Radio, se necesitan dos ingredientes para que una tormenta se transforme en huracán: altas temperaturas y vientos.

Las tormentas se forman en la Coste Este de África y transitan por el mar Caribe, que entre junio y noviembre alcanza temperaturas superficiales entre 26 y 27 grados. Gracias al calor, las moléculas de agua se evaporan y ese aire caliente forma un sistema nuboso. Esto genera una baja presión en el océano. Los vientos secos provenientes del Sahara que circulan en dirección opuesta comienzan a girar mientras atrapan cada vez aire más cálido que sube de la superficie del mar. En septiembre todo el calor de junio, julio y agosto está disponible, así que la velocidad del viento va aumentando a la par que el aire caliente choca con las bajas presiones. Mientras encuentren aguas cálidas, los huracanes María y José se seguirán fortaleciendo en el Atlántico.

Aunque ningún estudio es conclusivo aún, el aumento de las temperaturas en los océanos del mundo durante los últimos años gracias al cambio climático y otros factores podría ser la causa de esta intensa temporada. Según un informe de Naciones Unidas, lanzado en 2016, de 1901 a 2010 el nivel medio mundial del mar ascendió 19 cm, ya que los océanos se expandieron y calentaron debido al hielo derretido por el calentamiento.

Se espera que el huracán María llegue a Puerto Rico en horas de la mañana de hoy y que el jueves toque tierra de nuevo en República Dominicana y Haití. Por otro lado, el huracán José, que aún es categoría 1, con vientos de 130 kilómetros por hora, termina su giro en el Atlántico y se dirige hacia el noreste de EE.UU. Aunque las probabilidades de que el ciclón toque tierra son pocas, el Centro Nacional de Huracanes predice fuertes marejadas.

¿Qué tan exenta está Colombia de sufrir un huracán?

De acuerdo con un artículo publicado por la Universidad del Atlántico en la revista Natural Hazard Journal, se determinó que las zonas más sensibles de ser afectadas por huracanes son las islas de San Andrés y La Guajira. En la historia del país hay registradas 10 tormentas tropicales que han llegado a afectar a Riohacha, Cartagena, Barranquilla y Santa Marta.

De acuerdo con el diario El Heraldo, en septiembre de 2006, precisamente en temporada de huracanes, una especie de tornado llegó a Barranquilla, causando pánico, pero no mayor daño. Según el estudio, no es un hecho aislado. Los vendavales han sido comunes en el Caribe y el aumento de la temperatura mundial ha favorecido las condiciones para que se formen tornados. Aunque nunca serán como los de las películas, tipo twister, gracias a nuestra cercanía con el Ecuador, sí hay probabilidades de que las ciudades costeras de Colombia se vean afectadas por un huracán, aunque en menor medida que las islas del Caribe.

¿Te ha parecido interesante esta noticia?    Si (20)    No(0)

+
0 comentarios
Portada | Hemeroteca | Índice temático | Sitemap News | Búsquedas | [ RSS - XML ] | Política de privacidad y cookies | Aviso Legal
EURO MUNDO GLOBAL
C/ Piedras Vivas, 1 Bajo, 28692.Villafranca del Castillo, Madrid - España :: Tlf. 91 815 46 69 Contacto
EMGCibeles.net, Soluciones Web, Gestor de Contenidos, Especializados en medios de comunicación.EditMaker 7.8